Gemarkung Flur Flurstueck Beispiel

Flurkarte Wikipedia

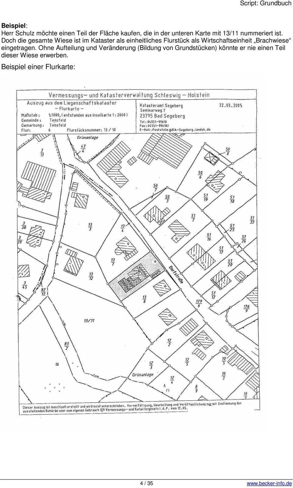
Mausklick auf das ergebnis.

Gemarkung flur flurstueck beispiel. Unser beispiel gelb umrandet hat die flurstücknummer 9. Auf den flurstücken sehen sie immer die groben umrisse der gebäude sowie die flurstücknummern. In jeder gemarkung die in der regel der gemeinde entspricht befinden sich flure die jeweils einzelne flurstücke enthalten. In jeder gemarkung gibt es daher jeden flur nur einmal.

Das flurstück ist die kleinste einheit und ist ein teil einer gemarkung oder einer flur. Ein grundstück entspricht immer einem oder mehreren flurstücken. Lao die experten für leitungsauskunft und planungsthemen. Auf einer flurkarte sind je nach maßstab ein bis mehrere flurstücke zu sehen.

Um ein flurstück im liegenschaftskataster oder im grundbuchauszug finden zu können wird eine flurstücksnummer vergeben die eine eindeutige zuordnung ermöglicht. Die gemarkungen blieben über jahrhunderte unverändert. Die kleinsten grundstückseinheiten des katasters heißen also flurstücke. In unserem fiktiven beispiel zum flurstück finden wir das grundstück mit der flurstücknummer 89 149 auf der karte.

Dort wiederum finden sich die grundstücke flurstücke parzellen unter besonderen nummern. Ein flurstück oder auch parzelle genannt ist in deutschland eine amtlich vermessene erdoberfläche die ebenfalls mit nummern gekennzeichnet ist. Je nach eingabe kann es zu mehreren suchergebnissen kommen sie können ggf. Flurstück wird in karte angezeigt und mit einem roten punkt markiert.

Die nummerierung erfolgt fortlaufend. Grundstück in der gemarkung hirzenhain flur 8 flurstück 232 im kaltwasser 3. Ein flurstück ist ein abgegrenzter teil der erdoberfläche der in der flurkarte des liegenschaftskatasters unter einer besonderen nummer erfasst wird. Dabei wurden die flure mit nummern versehen.

Lao leitungsauskunft zeigt ihnen wo sie kostenlos die informationen einsehen können. Das flurstück trägt dabei die katasterbezeichnung gemeinde musterstadt gemarkung neusiedlung flur 10 flurstück 89 149 alles ausgedachte beispielangaben die nur zur verdeutlichung dienen. Erfahren sie mehr zum thema flurstücke in unserem lexikonbeitrag. Jede flur erhält eine flurkarte.

Die karten des katasteramtes sind in gemarkungen unterteilt welche wiederum in fortlaufend nummerierte flure zerfällt. Berlin gemarkung charlottenburg flur 4 flurstück 1369. Wie finde ich gemarkung flur flurstück von einem grundstück heraus wenn ich nur über eine adresse verfüge. Gesucht wird das flurstück.

Source : pinterest.com